Notice of Sale of Lands in Owen Sound
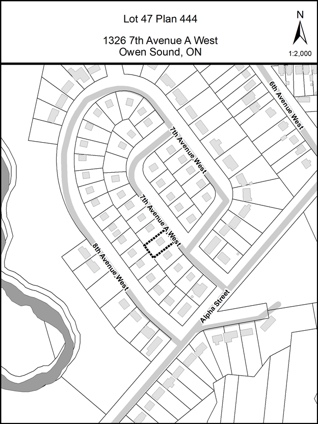
1326 7th Avenue A West, Owen Sound - Lot 47 Plan 44
Grey County Council, as sole shareholder of the Grey County and Owen Sound Housing Corporation, will be considering the private sale of Lot 47 Plan 444, City of Owen Sound, County of Grey pursuant to resolution CC42-22 dated May 12th, 2022 (endorsing Resolution CW63-22 of the Committee of the Whole dated April 28, 2022) no earlier than June 9, 2022 at 10:00 am at its regular meeting in Council Chambers, Grey County Administration Building.
A by-law to authorize the sale of the above-noted property will be brought forward for Council’s consideration no earlier than that meeting.
Those wishing to submit comments must do so in writing to Heather Morrison, County Clerk at heather.morrison [at] grey.ca (heather[dot]morrison[at]grey[dot]ca) or to the County of Grey, Clerk’s Department, 595 9th Ave. E., Owen Sound, ON no later than 12:00 noon on Tuesday June 7, 2022.
1319 8th Avenue West, Owen Sound - Lot 22 Plan 444
Grey County Council, as sole shareholder of the Grey County and Owen Sound Housing Corporation, will be considering the private sale of Lot 22 Plan 444, City of Owen Sound, County of Grey pursuant to resolution CC42-22 dated May 12th, 2022 (endorsing Resolution CW63-22 of the Committee of the Whole dated April 28, 2022) no earlier than June 9, 2022 at 10:00 am at its regular meeting in Council Chambers, Grey County Administration Building.
A by-law to authorize the sale of the above-noted property will be brought forward for Council’s consideration no earlier than that meeting.
Those wishing to submit comments must do so in writing to Heather Morrison, County Clerk at heather.morrison [at] grey.ca (heather[dot]morrison[at]grey[dot]ca) or to the County of Grey, Clerk’s Department, 595 9th Ave. E., Owen Sound, ON no later than 12:00 noon on Tuesday June 7, 2022.
